-

加沙停火协议文件在埃及签署
当地时间13日,美国总统特朗普、埃及总统塞西、土耳其总统埃尔多安和卡塔尔埃米尔塔米姆四国领导人在埃...
抹茶交易所 2025-10-14 8
-

拒绝解除武装,哈马斯通知美以:若加沙战事重启,将随时卷土重来
最近,哈马斯和以色列之间短暂的停火协议闹得满城风雨,特别是哈马斯拒绝解除武装的消息,让这一局势犹如被...
抹茶交易app下载入口 2025-10-13 3
-

哈马斯证实达成加沙停火协议,内塔尼亚胡:伟大的一天,以媒称“加沙战争已经结束”
据央视新闻:当地时间9日,巴勒斯坦伊斯兰抵抗运动(哈马斯)发表声明称,在埃及沙姆沙伊赫就美国总统特朗...
抹茶交易所 2025-10-09 5
-

最大风力已达16级!深圳第一高楼能抗住超强台风“桦加沙”吗?
中央气象台最新预警显示,今年第18号台风“桦加沙”中心附近最大风力已达16级,预计将在广东深圳到徐闻...
抹茶交易官网 2025-09-24 8
-

加强防御!今夜,广州进入8级风圈!明天9时,“桦加沙”距离广州最近!
根据广州市气象台观测,截至9月23日21时,今年第18号台风“桦加沙”(超强台风级)中心位于北纬20...
抹茶交易官网 2025-09-24 5
-

英法加澳承认巴勒斯坦国后,数万意大利人走上街头声援加沙:该做出改变了!
据新华社报道,在22日举行的和平解决巴勒斯坦问题和落实“两国方案”高级别国际会议期间,法国总统马克龙...
抹茶交易官网 2025-09-24 6
-

台风桦加沙袭击珠海:记者眼镜被大风吹跑,街边树枝断落,单车成排倒地
极目新闻记者 郭奕 9月23日晚,广东珠海已受到台风桦加沙的影响,开始刮风下雨。据当地媒体消息,24...
抹茶交易所 2025-09-24 7
-

埃尔多安:以色列在加沙实施“彻头彻尾的种族灭绝”!欧洲这国政府批准:对以实施全面武器禁运
据央视新闻,当地时间9月23日,西班牙政府在全体会议上正式批准了首相桑切斯此前提出的“技术性断绝”和...
抹茶交易官网 2025-09-24 5
-

深圳已进入桦加沙10级风圈
据广州市气象台今早7时30分发布的消息,受台风影响,过去1小时,广州市出现分散阵雨,356个站点(6...
抹茶交易官网 2025-09-24 7
-

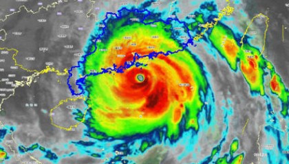
预计明日登陆广东!台风“桦加沙”已发展成为今年全球范围内的最强台风
本文转自【央视新闻微博】; 今晨,中央气象台继续发布台风橙色预警。 目前,今年第18号台风“桦加沙”...
抹茶交易所 2025-09-23 12
